Lupe
Motive
Figuren, anthropomorpheFiguren, anthropomorphe
FaunaFauna
FabelwesenFabelwesen
FloraFlora
Berge/HimmelskörperBerge/Himmelskörper
RealienRealien
Symbole/HerrschaftszeichenSymbole/Herrschaftszeichen
KreuzKreuz
geistlicher Hutgeistlicher Hut
BischofsstabBischofsstab
BaselstabBaselstab
MonstranzMonstranz
KroneKrone
ohne Bügelohne Bügel
Bügel einkonturigBügel einkonturig
Bügel zweikonturigBügel zweikonturig
frei, ohne Beizeichenfrei, ohne Beizeichen
frei, mit Beizeichenfrei, mit Beizeichen
Stern (einkonturig) über der KroneStern (einkonturig) über der Krone
ohne weiteres Beizeichenohne weiteres Beizeichen
BuchstabenBuchstaben
Buchstaben und Kreuz (zweikonturig)Buchstaben und Kreuz (zweikonturig)
Buchstaben und Kreuz (einkonturig)Buchstaben und Kreuz (einkonturig)
Buchstaben und MarkeBuchstaben und Marke
Buchstaben und SchlaufeBuchstaben und Schlaufe
Buchstaben, Krone, Kleeblatt und MarkeBuchstaben, Krone, Kleeblatt und Marke
Lilie und MarkeLilie und Marke
Kleeblatt und MarkeKleeblatt und Marke
MarkeMarke
im Bogenim Bogen
im Reifim Reif
Bügel mit Kreuz (zweikonturig)Bügel mit Kreuz (zweikonturig)
Bügel mit Kreuz (zweikonturig) perlenbesetztBügel mit Kreuz (zweikonturig) perlenbesetzt
Bügel mit KleeblattkreuzBügel mit Kleeblattkreuz
außerhalb der Kroneaußerhalb der Krone
Stern (zweikonturig)Stern (zweikonturig)
KroneKrone
WappenWappen
Wappen und LilieWappen und Lilie
HornHorn
Horn und Kreuz (einkonturig)Horn und Kreuz (einkonturig)
HerzHerz
HalbmondHalbmond
FischFisch
SchlaufeSchlaufe
KreisKreis
Stern (einkonturig) im BogenStern (einkonturig) im Bogen
Buchstaben (ohne weitere Beizeichen)Buchstaben (ohne weitere Beizeichen)
Buchstaben (mit weiteren Beizeichen)Buchstaben (mit weiteren Beizeichen)
Kreuz (zweikonturig)Kreuz (zweikonturig)
HornHorn
BlumeBlume
DreiblattDreiblatt
VierblattVierblatt
LilieLilie
MarkeMarke
KreisKreis
WappenWappen
BischofsstabBischofsstab
Stange mit PerlenStange mit Perlen
InnenbogenInnenbogen
FischFisch
HemdHemd
MondMond
Szepter (gekreuzt)Szepter (gekreuzt)
im Kreisim Kreis
im Doppelkreisim Doppelkreis
im Strahlenkranzim Strahlenkranz
im Blütenkranzim Blütenkranz
SonderformenSonderformen
fragmentiertfragmentiert
sonstigesonstige
ReichsapfelReichsapfel
SzepterSzepter
PilgerstabPilgerstab
Zirbelnuss (Wappen Augsburg)Zirbelnuss (Wappen Augsburg)
EvangelistensymbolEvangelistensymbol
Agnus Dei (Lamm Gottes)Agnus Dei (Lamm Gottes)
OstensoriumOstensorium
Geometrische FigurenGeometrische Figuren
WappenWappen
MarkenMarken
Buchstaben/ZiffernBuchstaben/Ziffern
unbestimmte Zeichenunbestimmte Zeichen
in Bearbeitungin Bearbeitung

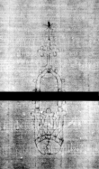
• Symbole/Herrschaftszeichen

• Krone

• Bügel zweikonturig

• frei, mit Beizeichen

• Stern (einkonturig) über der Krone

• Marke

• im Reif

• Bügel mit Kleeblattkreuz

|| 23-83 mm  B 33-41 mm  H 127-144 mm  Statistik - Höhe und Breite - aktuelle Motivgruppe    Zeit  Statistik - Beschreibdatum - aktuelle Motivgruppe    DetailsucheDiese Motivgruppe durchsuchen
44 Einträge  /  Bildbrowser
Wasserzeichen DE1785-PO-55655Lesezeichen setzen
ReferenznummerDE1785-PO-55655  <Permalink>
1542, Speyer
SammlungPiccard-Online
Abmessungen|| 29 mm, Breite 36 mm, Höhe 128 mm
Wasserzeichen DE2040-PO-55632Lesezeichen setzen
ReferenznummerDE2040-PO-55632  <Permalink>
1542, Soest
SammlungPiccard-Online
Abmessungen|| 27 mm, Breite 36 mm, Höhe 134 mm
Wasserzeichen DE2730-PO-55640Lesezeichen setzen
ReferenznummerDE2730-PO-55640  <Permalink>
1548, Mainz
SammlungPiccard-Online
Abmessungen|| 26 mm, Breite 38 mm, Höhe 133 mm
Wasserzeichen DE2730-PO-55641Lesezeichen setzen
ReferenznummerDE2730-PO-55641  <Permalink>
1548, Frankfurt, Main
SammlungPiccard-Online
Abmessungen|| 28 mm, Breite 39 mm, Höhe 134 mm
Wasserzeichen DE2730-PO-55643Lesezeichen setzen
ReferenznummerDE2730-PO-55643  <Permalink>
1549, Straßburg [erschlossen]
SammlungPiccard-Online
Abmessungen|| 27 mm, Breite 36 mm, Höhe 137 mm
Wasserzeichen DE4620-PO-55617Lesezeichen setzen
ReferenznummerDE4620-PO-55617  <Permalink>
1538, Posen
SammlungPiccard-Online
Abmessungen|| 27 mm, Breite 36 mm, Höhe 130 mm
Wasserzeichen DE4620-PO-55618Lesezeichen setzen
ReferenznummerDE4620-PO-55618  <Permalink>
1538, Radzanowo
SammlungPiccard-Online
Abmessungen|| 28 mm, Breite 36 mm, Höhe 128 mm
Wasserzeichen DE4620-PO-55619Lesezeichen setzen
ReferenznummerDE4620-PO-55619  <Permalink>
1539, Danzig
SammlungPiccard-Online
Abmessungen|| 29 mm, Breite 36 mm, Höhe 128 mm
Wasserzeichen DE4620-PO-55620Lesezeichen setzen
ReferenznummerDE4620-PO-55620  <Permalink>
1539, Hadersleben
SammlungPiccard-Online
Abmessungen|| 29 mm, Breite 37 mm
Wasserzeichen DE4620-PO-55621Lesezeichen setzen
ReferenznummerDE4620-PO-55621  <Permalink>
1540, Berlin
SammlungPiccard-Online
Abmessungen|| 27 mm, Breite 36 mm, Höhe 130 mm
Wasserzeichen DE4620-PO-55623Lesezeichen setzen
ReferenznummerDE4620-PO-55623  <Permalink>
1537, Posen
SammlungPiccard-Online
Abmessungen|| 23 mm, Breite 35 mm, Höhe 128 mm
Wasserzeichen DE4620-PO-55625Lesezeichen setzen
ReferenznummerDE4620-PO-55625  <Permalink>
1538, Thorn
SammlungPiccard-Online
Abmessungen|| 23 mm, Breite 35 mm, Höhe 128 mm
Wasserzeichen DE4620-PO-55626Lesezeichen setzen
ReferenznummerDE4620-PO-55626  <Permalink>
1539, Posen
SammlungPiccard-Online
Abmessungen|| 28 mm, Breite 35 mm, Höhe 136 mm
Wasserzeichen DE4620-PO-55627Lesezeichen setzen
ReferenznummerDE4620-PO-55627  <Permalink>
1539, Posen
SammlungPiccard-Online
Abmessungen|| 26 mm, Breite 36 mm, Höhe 131 mm
Wasserzeichen DE4620-PO-55628Lesezeichen setzen
ReferenznummerDE4620-PO-55628  <Permalink>
1540, Kowno
SammlungPiccard-Online
Abmessungen|| 28 mm, Breite 34 mm, Höhe 134 mm
Wasserzeichen DE4620-PO-55629Lesezeichen setzen
ReferenznummerDE4620-PO-55629  <Permalink>
1540, Berlin
SammlungPiccard-Online
Abmessungen|| 26 mm, Breite 37 mm, Höhe 130 mm
Wasserzeichen DE4620-PO-55630Lesezeichen setzen
ReferenznummerDE4620-PO-55630  <Permalink>
1541, Berlin [erschlossen]
SammlungPiccard-Online
Abmessungen|| 29 mm, Breite 38 mm, Höhe 135 mm
Wasserzeichen DE4620-PO-55631Lesezeichen setzen
ReferenznummerDE4620-PO-55631  <Permalink>
1542, Schamotuli
SammlungPiccard-Online
Abmessungen|| 29 mm, Breite 33 mm, Höhe 129 mm
Wasserzeichen DE4620-PO-55633Lesezeichen setzen
ReferenznummerDE4620-PO-55633  <Permalink>
1542, Livbothin
SammlungPiccard-Online
Abmessungen|| 28 mm, Breite 39 mm, Höhe 135 mm
Wasserzeichen DE4620-PO-55634Lesezeichen setzen
ReferenznummerDE4620-PO-55634  <Permalink>
1543, Lindow
SammlungPiccard-Online
Abmessungen|| 28 mm, Breite 38 mm, Höhe 133 mm
Wasserzeichen DE4620-PO-55636Lesezeichen setzen
ReferenznummerDE4620-PO-55636  <Permalink>
1545, Krakau
SammlungPiccard-Online
Abmessungen|| 27 mm, Breite 37 mm, Höhe 134 mm
Wasserzeichen DE4620-PO-55637Lesezeichen setzen
ReferenznummerDE4620-PO-55637  <Permalink>
1545, o. O.
SammlungPiccard-Online
Abmessungen|| 27 mm, Breite 33 mm, Höhe 138 mm
Wasserzeichen DE4620-PO-55638Lesezeichen setzen
ReferenznummerDE4620-PO-55638  <Permalink>
1545, Berlin
SammlungPiccard-Online
Abmessungen|| 27 mm, Breite 34 mm, Höhe 136 mm
Wasserzeichen DE4620-PO-55645Lesezeichen setzen
ReferenznummerDE4620-PO-55645  <Permalink>
1538, Freiberg, Sachsen
SammlungPiccard-Online
Abmessungen|| 46 mm, Breite 36 mm, Höhe 135 mm
Wasserzeichen DE4620-PO-55647Lesezeichen setzen
ReferenznummerDE4620-PO-55647  <Permalink>
1549, Lomza
SammlungPiccard-Online
Abmessungen|| 28 mm, Breite 41 mm, Höhe 132 mm
Wasserzeichen DE4620-PO-55649Lesezeichen setzen
ReferenznummerDE4620-PO-55649  <Permalink>
1551, Driesen
SammlungPiccard-Online
Abmessungen|| 26 mm, Breite 39 mm, Höhe 130 mm
Wasserzeichen DE4620-PO-55650Lesezeichen setzen
ReferenznummerDE4620-PO-55650  <Permalink>
1551, Wilna
SammlungPiccard-Online
Abmessungen|| 27 mm, Breite 40 mm, Höhe 130 mm
Wasserzeichen DE4620-PO-55657Lesezeichen setzen
ReferenznummerDE4620-PO-55657  <Permalink>
1540, Frauenburg
SammlungPiccard-Online
Abmessungen|| 28 mm, Breite 36 mm, Höhe 127 mm
Wasserzeichen DE7635-PO-55635Lesezeichen setzen
ReferenznummerDE7635-PO-55635  <Permalink>
1544, Stralsund
SammlungPiccard-Online
Abmessungen|| 27 mm, Breite 36 mm, Höhe 133 mm
Wasserzeichen DE7635-PO-55648Lesezeichen setzen
ReferenznummerDE7635-PO-55648  <Permalink>
1550, Gardelegen
SammlungPiccard-Online
Abmessungen|| 27 mm, Breite 40 mm, Höhe 131 mm
Wasserzeichen DE8085-PO-55615Lesezeichen setzen
ReferenznummerDE8085-PO-55615  <Permalink>
1537, Lichteneck
SammlungPiccard-Online
Abmessungen|| 28 mm, Breite 35 mm, Höhe 128 mm
Wasserzeichen DE8085-PO-55616Lesezeichen setzen
ReferenznummerDE8085-PO-55616  <Permalink>
1537, Lichteneck
SammlungPiccard-Online
Abmessungen|| 28 mm, Breite 36 mm, Höhe 127 mm
Wasserzeichen DE8085-PO-55622Lesezeichen setzen
ReferenznummerDE8085-PO-55622  <Permalink>
1546, Pappenheim
SammlungPiccard-Online
Abmessungen|| 25 mm, Breite 36 mm, Höhe 128 mm
Wasserzeichen DE8085-PO-55639Lesezeichen setzen
ReferenznummerDE8085-PO-55639  <Permalink>
1547, Baden-Baden
SammlungPiccard-Online
Abmessungen|| 26 mm, Breite 36 mm, Höhe 134 mm
Wasserzeichen DE8085-PO-55644Lesezeichen setzen
ReferenznummerDE8085-PO-55644  <Permalink>
1551, Speyer
SammlungPiccard-Online
Abmessungen|| 27 mm, Breite 35 mm, Höhe 144 mm
Wasserzeichen DE8085-PO-55646Lesezeichen setzen
ReferenznummerDE8085-PO-55646  <Permalink>
1548, Heiligenberg
SammlungPiccard-Online
Abmessungen|| 26 mm, Breite 38 mm, Höhe 132 mm
Wasserzeichen DE8085-PO-55656Lesezeichen setzen
ReferenznummerDE8085-PO-55656  <Permalink>
1547, Baden, Baden
SammlungPiccard-Online
Abmessungen|| 26 mm, Breite 36 mm, Höhe 134 mm
Wasserzeichen DE9150-PO-55624Lesezeichen setzen
ReferenznummerDE9150-PO-55624  <Permalink>
1537, Berlin
SammlungPiccard-Online
Abmessungen|| 23 mm, Breite 34 mm, Höhe 130 mm
Wasserzeichen DE9150-PO-55642Lesezeichen setzen
ReferenznummerDE9150-PO-55642  <Permalink>
1549, Meissen
SammlungPiccard-Online
Abmessungen|| 27 mm, Breite 38 mm, Höhe 134 mm
Wasserzeichen DE5580-4Muspr201Beibd10Tenor_B3Lesezeichen setzen
ReferenznummerDE5580-4Muspr201Beibd10Tenor_B3  <Permalink>
1549, Antwerpen
Abmessungen|||| 76 mm, Breite 36 mm
BezügeLagenschema
RISM-OPAC
Wasserzeichen DE5580-4Muspr161Tenor_b3Lesezeichen setzen
ReferenznummerDE5580-4Muspr161Tenor_b3  <Permalink>
1546, Nürnberg
Abmessungen|||| 79 mm, Breite 33 mm
BezügeLagenschema
RISM-OPAC
Wasserzeichen DE5580-4Muspr201Cantus_D3Lesezeichen setzen
ReferenznummerDE5580-4Muspr201Cantus_D3  <Permalink>
1543, Antwerpen
Abmessungen|||| 81 mm, Breite 37 mm
BezügeLagenschema
RISM-OPAC
Wasserzeichen DE5580-4Muspr159Beibd1Cantus_g3Lesezeichen setzen
ReferenznummerDE5580-4Muspr159Beibd1Cantus_g3  <Permalink>
1539, Nürnberg
Abmessungen|||| 82 mm, Breite 36 mm
BezügeLagenschema
RISM-OPAC
Wasserzeichen DE5580-4Muspr159Beibd1Cantus_p1Lesezeichen setzen
ReferenznummerDE5580-4Muspr159Beibd1Cantus_p1  <Permalink>
1539, Nürnberg
Abmessungen|||| 83 mm, Breite 35 mm
BezügeLagenschema
RISM-OPAC